第一進丸
12/15 釣果
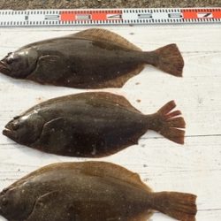
本日もヒラメに出船。
0.5~3.3kg。1~7枚、オデコ無し。
トップ7枚が2人、次4枚が4人、
1枚はお1人。
大型のバラシも有り、1kg~2kg絡みが半数を数え、
ソゲも肉厚の良い型が揃って釣り上がりました。
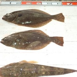
他、61cmマゴチ、イナダ、ヒラマサも上がり、
潮色良く、良い状況です。
明日もヒラメに出船。
天気良く、良い模様です。
空きがたくさんありますので、
ご予約お待ち申し上げております。
近々の大板の写真をHPのトップページ に掲示中、ぜひご覧ください
<進丸ニュース>
・ヒラメダービー参加方法をバージョンアップ!! new
・第二回旭市飯岡港初夏のヒラメ釣り大会優勝!! new
・2017年シーズンダービー1位賞品を『選べて』、さらに『パワーアップ』 !!new
・『席取順番札 』を設置いたしました。(夜間、席取りの安全確保のため)
・探していますⅡ!両軸リール・中通し竿・竿掛け!
・お誕生日割引きが更にお得に!!
・クーラーは30 ℓ を中心に35 ℓ まで
・安全、快適に、ミヨシに肘掛け付椅子を設置
・ルアーファンのお客様へ朗報!
・・・ 詳しくはこちらへ
*ライフジャケット乗船時、完全義務化 (2018年2月より)
ライフジャケットを購入して、ご自身の安全の為に、
乗船時には、命を守るアイテムを必ず着用しましょう


























