第一進丸
12/09 釣果
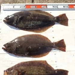
本日も1号船・2号船ともにヒラメに出船
<1号船>
0.4~3.5kg、1~3枚 、オデコ無し。
トップ61cm 、肩肉の盛り上がった
幅広の特肉厚東京ドーム型が釣り上がり、
次59cm 、
ソゲも肉厚の良い型が揃って釣り上がりました。
他、ヒラマサ、イナダ、ワカシ、ニベも上がり、
ルアーのお客様2人もヒラメを釣り上げられました。
<2号船>
0.4~2.2kg、1~6枚 、オデコ無し。
トップ6枚、次4枚が2人、次3枚、、、
1kg以上の良型が数釣れあがり、
他、特大のクロソイ、カンパチ、イナダ、
ヒラマサ、ニベ、真カサゴ、ハタ、と
多彩に数釣れ上がり、
にぎやかなお刺身に十分な釣果となりました。
明日もヒラメに出船。
晴れ模様の穏やかな日和の出船となります。
ご予約少なく、ご都合のつくお客様は
ご予約をお待ち申し上げております。
近々の大板の写真をHPのトップページ に掲示中、ぜひご覧ください
<進丸ニュース>
・ヒラメダービー参加方法をバージョンアップ!! new
・第二回旭市飯岡港初夏のヒラメ釣り大会優勝!! new
・2017年シーズンダービー1位賞品を『選べて』、さらに『パワーアップ』 !!new
・『席取順番札 』を設置いたしました。(夜間、席取りの安全確保のため)
・探していますⅡ!両軸リール・中通し竿・竿掛け!
・お誕生日割引きが更にお得に!!
・クーラーは30 ℓ を中心に35 ℓ まで
・安全、快適に、ミヨシに肘掛け付椅子を設置
・ルアーファンのお客様へ朗報!
・・・ 詳しくはこちらへ
*ライフジャケット乗船時、完全義務化 (2018年2月より)
ライフジャケットを購入して、ご自身の安全の為に、
乗船時には、命を守るアイテムを必ず着用しましょう






























