千宝丸
12月6日水曜日、カブセ釣り。
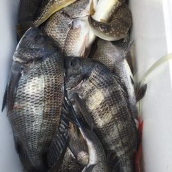
12月6日水曜日、カブセ釣りで9時出船、天候晴れ、中潮、チヌ40センチ~64センチ16匹、30センチ真鯛1匹、クサフグ14匹、カワハギ1匹、13時納竿させて頂きました。
ご乗船有難う御座いました、又宜しくお願いします。
| 船名 | 千宝丸 |
|---|---|
| 都道府県 | 広島 |
| 場所 | 坂埠頭 Google Map |
| ホームページ | http://www.kaizoku7200.com/index.html |
| ブログ | http://kaizoku7200.blog.jp/ |
| 電話番号 | 090-1182-8262 |
2017-12-06
日中
晴れ
寒い
中潮
クロダイ(チヌ)
その他エサ釣り
12月6日水曜日、カブセ釣り。
12月6日水曜日、カブセ釣りで9時出船、天候晴れ、中潮、チヌ40センチ~64センチ16匹、30センチ真鯛1匹、クサフグ14匹、カワハギ1匹、13時納竿させて頂きました。
ご乗船有難う御座いました、又宜しくお願いします。