泰丸
3日午前便仕立て 寺沢電機様 半夜便ロング 永田氏ら
今日は午前便五目、半夜便のダブルヘッダーで出船しました(≧▽≦)!!
久し振りの五目釣りはポカポカ陽気の中、魚の食い気も良かったです(^◇^)!!
完全フカセが入っていない週末はまた五目釣りの予定も組んでいくのでよろしくお願いしますね~(*\’▽\’)
半夜便マイカは相変わらずの激渋でしたが、ベテラン永田氏が良型タルイカを2はい仕留めてくれたので何とか一矢報えることが出来ました( ̄▽ ̄;)‼︎
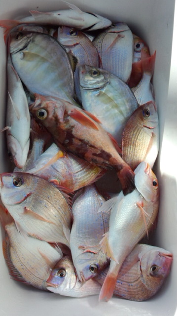
午前便
チダイ、マダイ、レンコダイ5〜35センチ 船中114匹
アジ26〜30センチ 船中49匹
カイワリ26〜28センチ 船中10匹
キジハタ32センチ〜38センチ 船中2匹
オキメバル27〜28センチ 船中4匹
カサゴ28〜32セン チ船中2匹
クロマグロ42センチ 船中1匹
カワハギ33〜38センチ 船中17匹




















































