泰丸
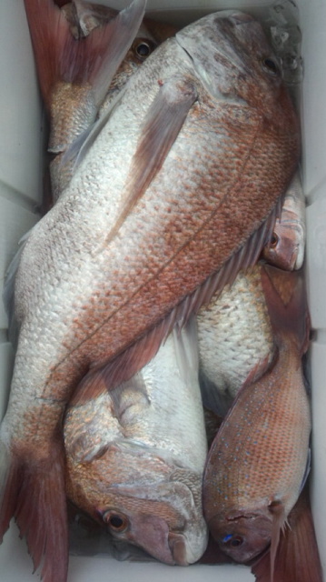
30日午前便完全フカセ 大塚氏ら
今日の午前便完全フカセも大漁♪大漁♪のナイス釣果になりました~(*´ω`)!!
アンカー潮で釣り辛い状況だったのですが、雨気が影響したのかマダイの食い気も良かったですね(≧▽≦)!!
2日(土)の便はまだ2名の空きがあるのでご都合のいい方はこのチャンスに釣りに来てくださいョ~(゚∀゚)!!
マダイ33〜84センチ 4〜10匹 船中27匹
クロダイ47センチ 船中1匹
| 船名 | 泰丸 |
|---|---|
| 都道府県 | 福井 |
| 場所 | 色浜 Google Map |
| ホームページ | http://www.taimaru.jp/ |
| ブログ | http://www.taimaru.jp/fishingpost/ |
| 電話番号 | 0770-26-1722 |
2017-11-30
午前
--
--
中潮
マダイ
完全フカセ
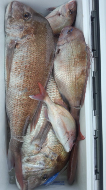
30日午前便完全フカセ 大塚氏ら
今日の午前便完全フカセも大漁♪大漁♪のナイス釣果になりました~(*´ω`)!!
アンカー潮で釣り辛い状況だったのですが、雨気が影響したのかマダイの食い気も良かったですね(≧▽≦)!!
2日(土)の便はまだ2名の空きがあるのでご都合のいい方はこのチャンスに釣りに来てくださいョ~(゚∀゚)!!
マダイ33〜84センチ 4〜10匹 船中27匹
クロダイ47センチ 船中1匹