新幸丸
27日マダイ釣果
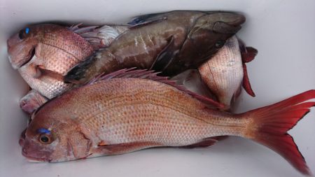
NEW! 2017年11月27日(月) 12時33分24秒
11月27日 月曜日
午前マダイ
ポイント、大原沖
水深、25~30メートル
キロ数、0,3~1,3キロ
枚数、0~10枚
外道、ハタ、イサキ、ヒラマサ
潮トロトロ流れ朝から好調入れ喰い今日のトップは初挑戦で10枚。
| 船名 | 新幸丸 |
|---|---|
| 都道府県 | 千葉 |
| 場所 | 大原港 Google Map |
| ホームページ | http://shinkoumaru.sakura.ne.jp/ |
| ブログ | http://ameblo.jp/sotobo-shinkoumaru/ |
| 電話番号 | 0470-62-1500 |
| ジャンル | エサ |
2017-11-27
日中
曇り
--
小潮
イサキ,ヒラマサ,マダイ,ハタ
タイラバ(鯛ラバ)・テンヤ
27日マダイ釣果
NEW! 2017年11月27日(月) 12時33分24秒
11月27日 月曜日
午前マダイ
ポイント、大原沖
水深、25~30メートル
キロ数、0,3~1,3キロ
枚数、0~10枚
外道、ハタ、イサキ、ヒラマサ
潮トロトロ流れ朝から好調入れ喰い今日のトップは初挑戦で10枚。