第一進丸
11/19 釣果
本日もヒラメに出船。
大板上がる、72cm、0~6枚 、オデコ1人もイナダ。
大型のバラシも有り、3枚釣り多数。
良い模様です。
明日もヒラメに出船。
空きがたくさんありますので、
ご予約をお待ち申し上げております
*詳細は後程
| 船名 | 第一進丸 |
|---|---|
| 都道府県 | 千葉 |
| 場所 | 飯岡港 Google Map |
| ホームページ | http://shinmaru01.com/ |
| ブログ | http://1sinmaru.blog109.fc2.com/ |
| 電話番号 | 0479-57-6668 |
| ジャンル | エサ |
2017-11-19
日中
晴れ
寒い
大潮
ヒラメ
泳がせ・のませ
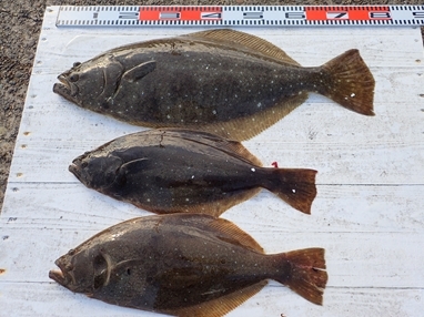
11/19 釣果
本日もヒラメに出船。
大板上がる、72cm、0~6枚 、オデコ1人もイナダ。
大型のバラシも有り、3枚釣り多数。
良い模様です。
明日もヒラメに出船。
空きがたくさんありますので、
ご予約をお待ち申し上げております
*詳細は後程