第一進丸
11/07 釣果
本日もヒラメに出船。
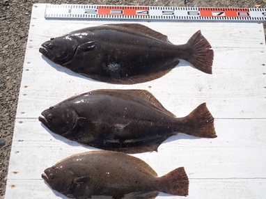
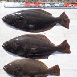
大板上がる、65cm、4.1kg
肩肉の盛り上がった特肉厚東京ドーム型。
0~5枚、3kg以上が5枚 、
いずれも肩肉の盛り上がった
肉厚のヒラメが揃って釣り上がりました。
他、イナダ3尾~5尾のお客様が多く、
スズキの80cm、特大のアイナメも上がり、
お刺身に十分な釣果となりました。
明日もヒラメに出船予定。
明日の雨は、飯岡方面は無い予報で、
雨は降っても、風裏で背中に雨を受ける状況で
南の風も釣りに問題は無く、ご都合のつくお客様は
ご予約をお待ち申し上げております。
近々の大板の写真をHPのトップページ に掲示中、ぜひご覧ください
<進丸ニュース>
・ヒラメダービー参加方法をバージョンアップ!! new
・第二回旭市飯岡港初夏のヒラメ釣り大会優勝!! new
・2017年シーズンダービー1位賞品を『選べて』、さらに『パワーアップ』 !!new
・『席取順番札 』を設置いたしました。(夜間、席取りの安全確保のため)
・探していますⅡ!両軸リール・中通し竿・竿掛け!
・お誕生日割引きが更にお得に!!
・クーラーは30 ℓ を中心に35 ℓ まで
・安全、快適に、ミヨシに肘掛け付椅子を設置
・ルアーファンのお客様へ朗報!
・・・ 詳しくはこちらへ
*ライフジャケット乗船時、完全義務化 (2018年2月より)
ライフジャケットを購入して、ご自身の安全の為に、
乗船時には、命を守るアイテムを必ず着用しましょう




























