美宝丸
11月4日(土) ウタセマダイ
2017-11-04 15:19:53
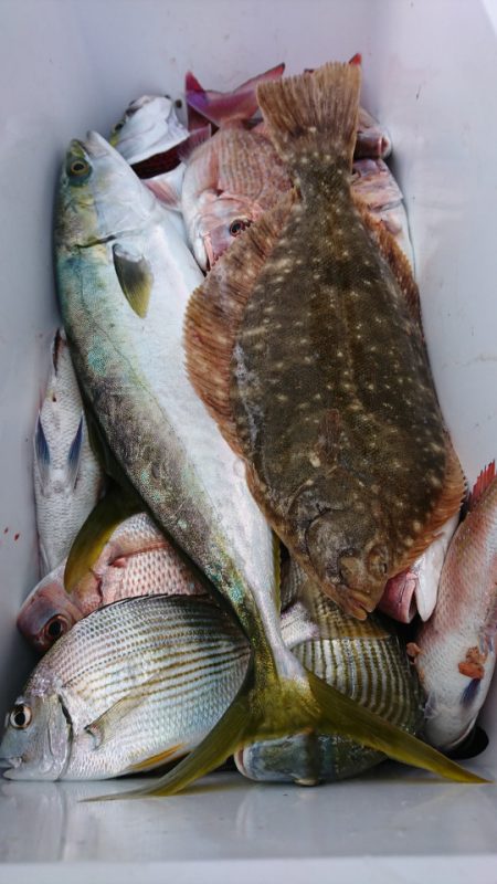
マダイ 32㎝頭に25枚ほどハマチ 5本デカカレイヘダイフグ
潮が早く、大物釣り初めてのお客様でかなりの苦戦でしたなんとか、晩御飯はGET風は強くなるしふかすとアタリがとれないと困ってましたそのあたりは経験になるので船長も困りましたwでも、楽しかったですねズーボーなくてよかったです
| 船名 | 美宝丸 |
|---|---|
| 都道府県 | 愛知 |
| 場所 | 篠島港 Google Map |
| ホームページ | http://ameblo.jp/bihoumaru2009/ |
| 電話番号 | 090-9023-3361 |
| ジャンル | エサ |
2017-11-04
日中
曇り
--
大潮
イナダ(ハマチ),ヒラメ,マダイ
胴突き
11月4日(土) ウタセマダイ
2017-11-04 15:19:53
マダイ 32㎝頭に25枚ほどハマチ 5本デカカレイヘダイフグ
潮が早く、大物釣り初めてのお客様でかなりの苦戦でしたなんとか、晩御飯はGET風は強くなるしふかすとアタリがとれないと困ってましたそのあたりは経験になるので船長も困りましたwでも、楽しかったですねズーボーなくてよかったです