第一進丸
11/04 釣果
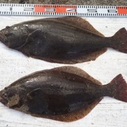
第29回 運と実力のヒラメダービー 高橋様
3位入賞 乗船無料券GET!
本日もヒラメに出船。
大板と大板絡み2枚上がる、
71cm、4.3kg、次3.8kg 、
肩肉の盛り上がった特肉厚東京ドーム型。
71cm、66cm、62cm、61cm、58cm、 と
良大型が揃って数も釣れ上がりました。
0.5~4.3kg、0~3枚 、
4kgヒラマサ、メジマグロ、真ハタも上がり、他にイナダ多数。
潮色回復し、良い状況に戻ってきております。
明日もヒラメに出船。
空きがたくさんありますので、
ご予約をお待ち申し上げております。
近々の大板の写真をHPのトップページ に掲示中、ぜひご覧ください
<進丸ニュース>
・ヒラメダービー参加方法をバージョンアップ!! new
・第二回旭市飯岡港初夏のヒラメ釣り大会優勝!! new
・2017年シーズンダービー1位賞品を『選べて』、さらに『パワーアップ』 !!new
・『席取順番札 』を設置いたしました。(夜間、席取りの安全確保のため)
・探していますⅡ!両軸リール・中通し竿・竿掛け!
・お誕生日割引きが更にお得に!!
・クーラーは30 ℓ を中心に35 ℓ まで
・安全、快適に、ミヨシに肘掛け付椅子を設置
・ルアーファンのお客様へ朗報!
・・・ 詳しくはこちらへ
*ライフジャケット乗船時、完全義務化 (2018年2月より)
ライフジャケットを購入して、ご自身の安全の為に、
乗船時には、命を守るアイテムを必ず着用しましょう


































