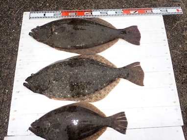
カンパリに釣果投稿で釣具購入POINTゲット! 千葉 天気・風 波・潮 船基本情報 船名 第一進丸 都道府県 千葉 場所 飯岡港 Google Map ホームページ http://shinmaru01.com/ ブログ http://1sinmaru.blog109.fc2.com/ 電話番号 0479-57-6668 ジャンル エサ 第一進丸 いいねしたユーザー Loading... いいねしたユーザー(件) 第一進丸 釣果 シェア ツイート LINEで送る 関東の船釣り・ジギング 千葉の釣り情報 ヒラメ釣り 泳がせ・のませ釣果 カンパリに釣果投稿で釣具購入PTゲット! 釣行日 2017-10-14 時間 日中 天気 雨 気温 -- 潮 長潮 釣果 ヒラメ 釣り方 泳がせ・のませ 千葉での 泳がせ・のませ によるヒラメ の船釣り釣果情報 第一進丸 10/14 釣果 ヒラメ (件) 陸っぱり の釣果もチェック!! 淡水 の釣果もチェック!! ブラックバス の釣果もチェック!!