千宝丸
9月16日土曜日、アジ釣り。
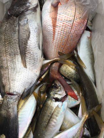
9月16日土曜日、アジ釣りで14時出船天候曇り小雨、若潮、25センチ前後ヒラアジほぼ入れ食い状態に18時納竿させて頂きました、釣った魚は海賊で皆さんにご馳走するそうですね美味しく頂いて下さいね。
ご乗船有難う御座いました、又宜しくお願いします。
| 船名 | 千宝丸 |
|---|---|
| 都道府県 | 広島 |
| 場所 | 坂埠頭 Google Map |
| ホームページ | http://www.kaizoku7200.com/index.html |
| ブログ | http://kaizoku7200.blog.jp/ |
| 電話番号 | 090-1182-8262 |
2017-09-16
日中
曇り
--
若潮
アジ
その他エサ釣り
9月16日土曜日、アジ釣り。
9月16日土曜日、アジ釣りで14時出船天候曇り小雨、若潮、25センチ前後ヒラアジほぼ入れ食い状態に18時納竿させて頂きました、釣った魚は海賊で皆さんにご馳走するそうですね美味しく頂いて下さいね。
ご乗船有難う御座いました、又宜しくお願いします。