大幸丸
月日
釣り場
仕掛け
釣果
釣り人
潮流
水温
9月10日
5番クジ
ゾウノハナ
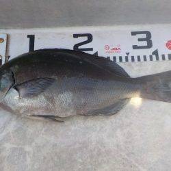
底物
グレ 35cm
1枚
匿名さん
上ったり
下ったり
26,0
〜
27,0度
ヒジカケ
グレ 35cm
1枚
アイ 37cm
1枚
牟岐町
西沢さん
※現地に釣り禁止の看板のある場所や、釣り禁止エリアでの釣行、路上駐車・ゴミ放置などの迷惑行為はお控え下さい。
※釣行の際は、必ずライフジャケットを着用下さい。
2017-09-10
日中
晴れ
--
中潮
グレ(メジナ)
フカセ釣り
月日
釣り場
仕掛け
釣果
釣り人
潮流
水温
9月10日
5番クジ
ゾウノハナ
底物
グレ 35cm
1枚
匿名さん
上ったり
下ったり
26,0
〜
27,0度
ヒジカケ
グレ 35cm
1枚
アイ 37cm
1枚
牟岐町
西沢さん