大幸丸
オキフジ
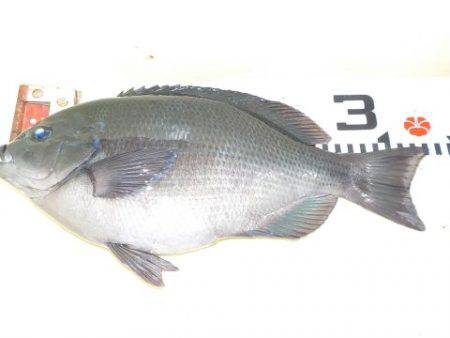
フカセ
グレ 33cm
1枚
曙潮クラブ
岡田
直也さん
下ったり
止まったり
表周り
17,3
〜
19,0度
裏周り
17,3
〜
17,8度
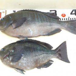
14番クジ
タカハシ
グレ 32〜32cm
2枚
曙潮クラブ
中村さん
ナカノハエ
グレ 39cm
1枚
曙潮クラブ
福井さん
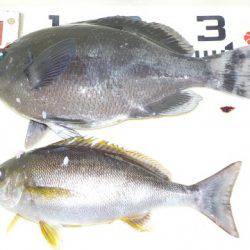
タニハン
グレ 32〜41cm
2枚
曙潮クラブ
木下さん
タニハン
の地
イサギ 33cm
1枚
グレ 31cm
1枚
徳島EFC
吉見さん
ジイ
グレ 33cm
1枚
アイ 35cm
1枚
淡路
打越さん
17番クジ
モモ
イサギ 34〜34cm
2枚
曙潮クラブ
櫨山さん
イサギ 30cm
1枚
グレ 34cm
1枚
曙潮クラブ
勝瀬さん




























