幸福丸
フカセもダゴチンも
NEW! 2016-10-27 17:23:16
今日は、雨☔は、降りませんでしたが、
強風に悩まされた1日でした。
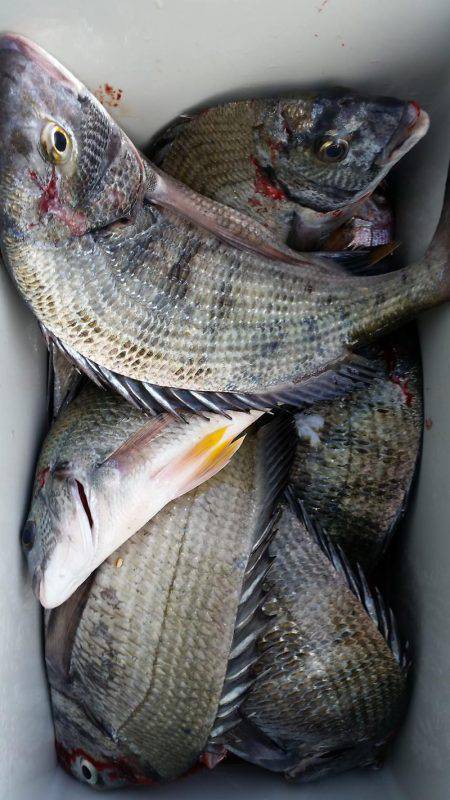
そんな中でも魚はよく釣れてました。
フカセ釣りでは、クロ チヌ マダイなどがたくさん釣れてました。
ダゴチンは相変わらず順調です。
今日もよく釣れてます。
最近ではよく数も出るようになりました。
皆さんお疲れ様でした。
http://profile.ameba.jp/ok-19651208/
090-4514-2461


















