鵜来島家本渡船
8月21日夜釣りの釣果\(^o^)/
情報前後して m(_ _)m 🙇🙇🙇
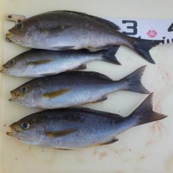
20日から21日朝にかけての夜釣り、毎度ご利用有難うございます(*^^*)香川からO西さん4名で!狙いのタマミは しっかり Get
他にも・・・和歌山からMさん2人で毎度毎度のご利用、感謝です(*^^*)
前日朝から翌日朝まで24時間の磯釣りチャレンジして頂いた広島のTさんチーム3名様、やや無謀な?激チャレ(笑)
何度もやりとり繰り返しつつーのブチ切られーの本命にはなかなかーの?
翌朝迎え、激しくお疲れモード???
今回は今ひとつでしたが、
秋以降のシーズンには又是非、ご利用下さいませm(_ _)m
ちなみに台風の影響を考慮して磯は本島スイゲンチ、ナカバナ、ニシノハナなどなどへ
0880-69-1725




















