※現地に釣り禁止の看板のある場所や、釣り禁止エリアでの釣行、路上駐車・ゴミ放置などの迷惑行為はお控え下さい。
※釣行の際は、必ずライフジャケットを着用下さい。
年間1000匹
Loading...
いいねしたユーザー(件)
釣行日
2025/07/21
時間
昼
天気
晴れ
気温
暑い
潮
中潮
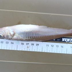
釣果
キス19センチまでを11匹。
チャリコ多数。
タックル
最初は磯竿3号360後ダイワリバティクラブ20-390
シマノfx4000
PE1号
7号3本針
釣り方
ちょい投げ


















