※現地に釣り禁止の看板のある場所や、釣り禁止エリアでの釣行、路上駐車・ゴミ放置などの迷惑行為はお控え下さい。
※釣行の際は、必ずライフジャケットを着用下さい。
遊びと私
Loading...
いいねしたユーザー(件)
釣行日
2025/05/05
時間
昼
天気
晴れ
気温
やや寒い
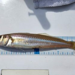
釣果
キス20匹程、ガッチョ1匹
釣り方
投げ釣り
※現地に釣り禁止の看板のある場所や、釣り禁止エリアでの釣行、路上駐車・ゴミ放置などの迷惑行為はお控え下さい。
※釣行の際は、必ずライフジャケットを着用下さい。
2025/05/05
昼
晴れ
やや寒い