※現地に釣り禁止の看板のある場所や、釣り禁止エリアでの釣行、路上駐車・ゴミ放置などの迷惑行為はお控え下さい。
※釣行の際は、必ずライフジャケットを着用下さい。
TKO
Loading...
いいねしたユーザー(件)
釣行日
2024/07/03
時間
朝
天気
曇り
気温
快適
潮
中潮
釣果
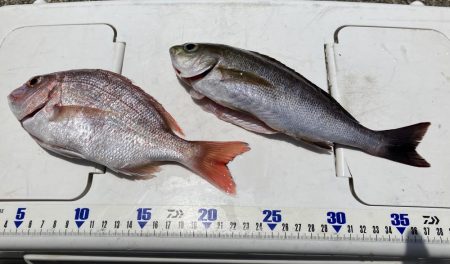
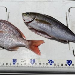
チャリコたくさん
イサギ1
サンノジ1
サメ1
ゴマサバ2
釣り方
カゴ釣り






















