※現地に釣り禁止の看板のある場所や、釣り禁止エリアでの釣行、路上駐車・ゴミ放置などの迷惑行為はお控え下さい。
※釣行の際は、必ずライフジャケットを着用下さい。
TKO
Loading...
いいねしたユーザー(件)
釣行日
2023/11/23
時間
朝
天気
晴れ
気温
快適
潮
若潮
釣果
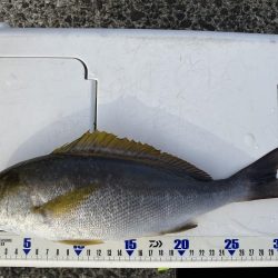
イサギ8匹
チャリコ3匹
釣り方
カゴ釣り
※現地に釣り禁止の看板のある場所や、釣り禁止エリアでの釣行、路上駐車・ゴミ放置などの迷惑行為はお控え下さい。
※釣行の際は、必ずライフジャケットを着用下さい。
2023/11/23
朝
晴れ
快適
若潮