※現地に釣り禁止の看板のある場所や、釣り禁止エリアでの釣行、路上駐車・ゴミ放置などの迷惑行為はお控え下さい。
※釣行の際は、必ずライフジャケットを着用下さい。
こうたろう
Loading...
いいねしたユーザー(件)
# gamakatsu
# shimano
# エサ釣り
# がまかつ
# クロダイ
# シマノ
# ダンゴ釣り
# チヌ
# チヌ競技スペシャル4
# チャリコ
# ハイパーフォース
# 兵庫県
# 姫路西部
# 広畑
# 瀬戸内海側
# 紀州釣り
# 関西
# 飾磨
釣行日
2023/08/18
時間
昼
天気
晴れ
気温
暑い
潮
中潮
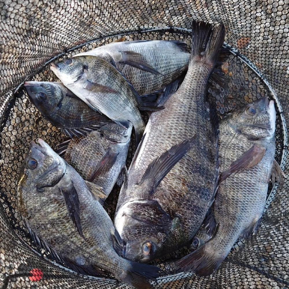
釣果
チヌ8枚、チャリコ6匹、フグ1匹、ボラ2本
タックル
チヌ競技スペシャルⅣ0.6号5.0m ハイパーフォースC2000DXXG ライン2号 ハリス1.5号 チヌ針1号 永易浮きS
釣り方
紀州釣り

















