※現地に釣り禁止の看板のある場所や、釣り禁止エリアでの釣行、路上駐車・ゴミ放置などの迷惑行為はお控え下さい。
※釣行の際は、必ずライフジャケットを着用下さい。
こうたろう
Loading...
いいねしたユーザー(件)
# gamakatsu
# shimano
# エサ釣り
# がまかつ
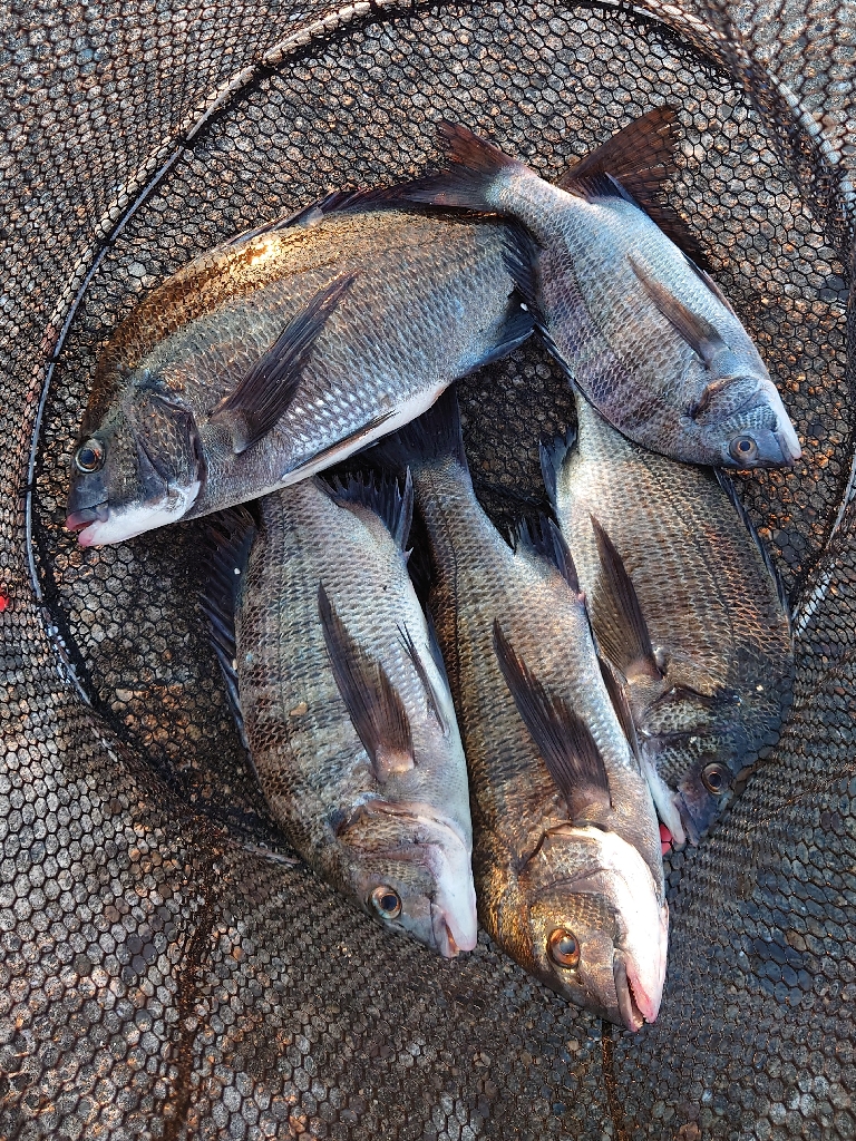
# クロダイ
# シマノ
# ダンゴ釣り
# チヌ
# チヌ競技スペシャル4
# ハイパーフォース
# ボラ
# 兵庫県
# 姫路西部
# 広畑
# 瀬戸内海側
# 紀州釣り
# 関西
# 飾磨
釣行日
2023/08/12
時間
昼
天気
晴れ
気温
暑い
潮
中潮















