T.U
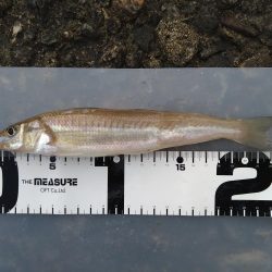
前日と場所を変えてのキス狙い。当たりは前日よりも極端に少なく、たまにヒットしても外道しか釣れないという状況でした。そんな中でこれまでの外道とは明らかに違う当たりがあり、巻き上げてみると大きめのキスが掛かっていました。1匹だけでしたが前回、前々回よりもサイズアップできたということで再びイベントにエントリー。
ちなみに、前回イベントにエントリーしたつもりが間違って通常のフォームから投稿してしまい、ダメ元で再投稿してみると、何とか後から投稿したイベントエントリーの方が採用されていました。これからイベントに参加される皆さんは投稿するフォームを間違えないようにくれぐれもご注意ください。
#ささめ針オンラインキス釣りイベント #特選SLエアシンカー #SL投2本鈎 #メジャークラフト #majorcraft #クロステージ #シマノ #shimano #セフィアBB


















