佐藤国弘
第26回GFG九州地区青年部懇親釣り大会に参加。
審査方法はチヌ1尾の重量。
初心者から上級者まで誰にでも上位入賞のチャンスがあり楽しみながら釣りができる大会。
私は大入島の彦島へ。
朝イチから釣れそうな雰囲気ありますが釣れません。
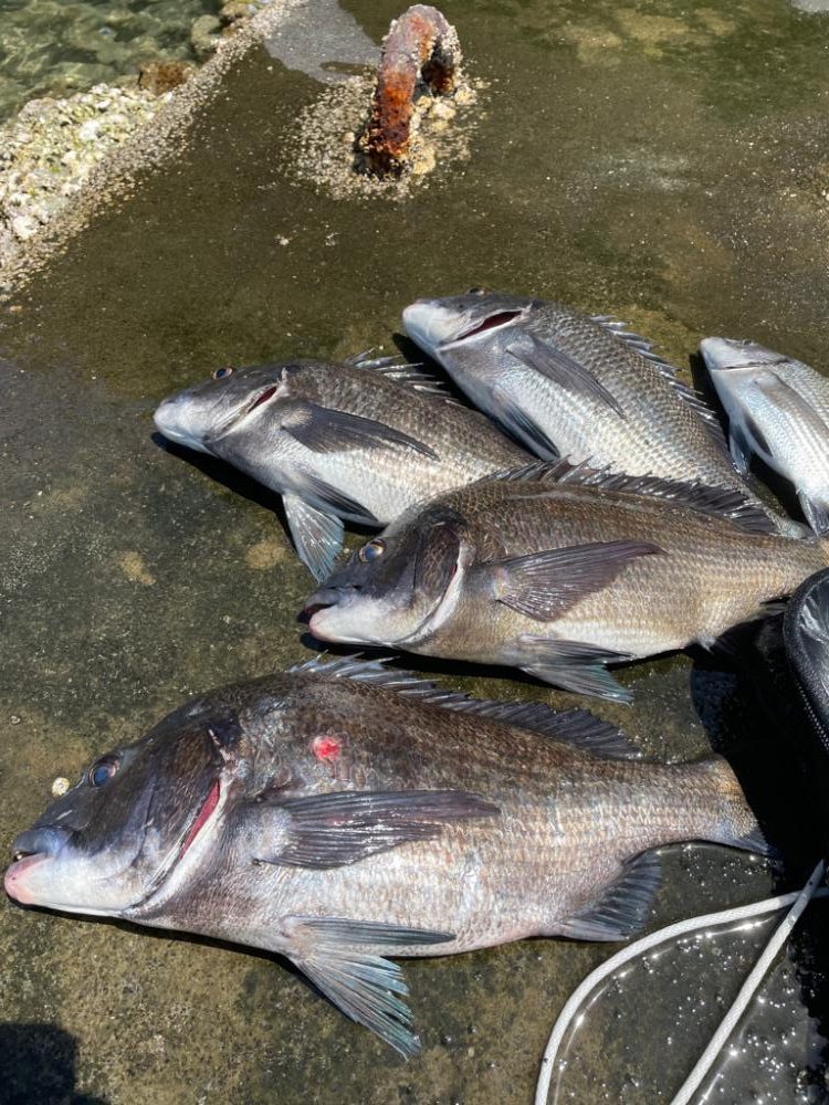
暫くして撒き餌の効いたであろう8時前後、道糸がモゾモゾするけど糸が走らないので餌取りか?と張り気味で暫く経ってから聞きアワセをするとこれがチヌで40ぐらし!
後が続かず…約2時間沈黙の後、いきなり糸引きシュルシュル‼︎ 中々の手応えで上がってきたのは45ぐらし!と思ってましたが後の検量で2kg、51.3cmと50ぐらしだった!年無しゲット‼︎‼︎そしてこれがまさかのまさかの優勝魚に。
大会役員、会員の皆様、本日は大変お世話になりありがとうございました。
お疲れ様でした。


















