1月22日釣果!

磯釣り釣果

水温18.5℃

風北1〜2m

潮上り潮でした。

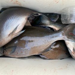
今日は全体的に良くなく食い渋っていました。

しかし先日に続き尾長のアタリがあり

切られ、バラシもありましたが

40〜45cmまでの釣果がありました!

口太は49cmまであがりました。

明日、明後日はお休みになります。

よろしくお願いします!

船長携帯

090-3011-9673 

延岡市須美江町123-12 詳しくは、お電話ください。 島野浦でお待ちしています。 

         千津丸船長甲斐 和臣

#九州 #宮崎 #延岡市 #門川町 #フカセ釣り #グレ #メジナ