1月19日釣果!

磯釣り釣果

水温18.5℃

風北から北東2〜4m

潮上り潮でした。

今日は先日よりも状況は改善されて

まずまずの釣果でした!

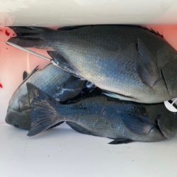
平均サイズも良くなって

口太はいいサイズで47〜49cmほどありました。

尾長は45cmほどサイズ。

底物はイシガキ2枚でした。

明日はおやすみになります。

よろしくお願いします!

船長携帯

090-3011-9673 

延岡市須美江町123-12 詳しくは、お電話ください。 島野浦でお待ちしています。 

         千津丸船長甲斐 和臣

#九州 #宮崎 #延岡市 #門川町 #フカセ釣り #底物 #イシガキダイ #グレ #メジナ