寿丸
2021年10月29日釣果情報
藤川さん ブリ94㎝(6,70㎏・お客様が磯瀬で計量されたそうです)、78㎝(4,30㎏)、75㎝(4,10㎏)、ヒラスズキ72㎝(3,80㎏)、71㎝(3,50㎏)、59㎝(2,30㎏)、ネリゴ48㎝を、小アジの泳がせ釣りで、釣られたそうです。尚、94㎝ブリは、クーラーボックスに入れるのに、頭、尾鰭を折らないと入らなかったそうです。
ブリ94㎝、78㎝、75㎝、ヒラスズキ72㎝、71㎝、59㎝、ネリゴ、お見事でした。
辻本さん ヤズ74㎝(3,80㎏)、72㎝(3,30㎏)、70㎝(3,50㎏)を、ショアジギングで釣られたそうです。
釣られた魚(ヤズ2本)頂きました、ありがとうございました
ヤズ74㎝、72㎝、70㎝、お見事でした。
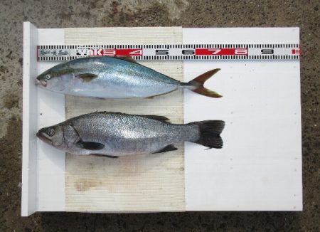
森さん ヤズ72㎝(3,85㎏)、ヒラスズキ72㎝(3,95㎏)を、小アジの泳がせ釣りで、釣られたそうです。
ヤズ72㎝、ヒラスズキ72㎝、お見事でした。
中島さん ヒラス83㎝、ブリ80㎝、75㎝、ヒラスズキ70㎝(お客様が磯瀬で計量されたそうです)を、ショアジギングで釣られたそうです。
クーラーボックスに入れるのに、頭を落とさないと入らなかったそうです。
ヒラス83㎝、ブリ80㎝、75㎝、ヒラスズキ70㎝、お見事でした。
匿名(MJ)さん ブリ80㎝~75㎝合計4本(お客様が磯瀬で計量されたそうです)を、ショアジギングで釣られたそうです。
クーラーボックスに入れるのに、頭を落とさないと入らなかったそうです。
ブリ80㎝~75㎝合計4本、お見事でした。
写真撮影は、ご遠慮しますとの事でしたので、コメントだけ記載します。
小アジの泳がせ釣りのお客様で、ヤズ70㎝を、釣られたそうです。
ヤズ70㎝、お見事でした。
ショアジギングのお客様で、ヤズ70㎝を、釣られたそうです。
ヤズ70㎝、お見事でした。
その他の磯瀬では、フカセ釣りのお客様は、クチブトクロ30㎝、オナガクロ30㎝級~足裏サイズを、釣られたそうです。小ぶりの魚はリリースされたそうです。
ショアジギング複数【2名】お客様で、青物【ブリ、75㎝~80㎝級】2回ヒットして、残念ながら【ライン高切れ根ズレ瀬ズレ・スッポ抜け】バラシたそうです。次回、リベンジ、頑張られてください。
※お裾分け頂いたお魚【ヤズ】、後日、刺身【ブロック柵状】にして釣行されたお客様、お土産にお渡ししょうと思います。
日中、強風【北東風】風波が、東側磯瀬は、高い中、正午、正午過ぎまで皆さんお疲れ様でした。
























