※現地に釣り禁止の看板のある場所や、釣り禁止エリアでの釣行、路上駐車・ゴミ放置などの迷惑行為はお控え下さい。
※釣行の際は、必ずライフジャケットを着用下さい。
こうたろう
Loading...
いいねしたユーザー(件)
釣行日
2021/10/16
時間
昼
天気
曇り
気温
やや暑い
潮
若潮
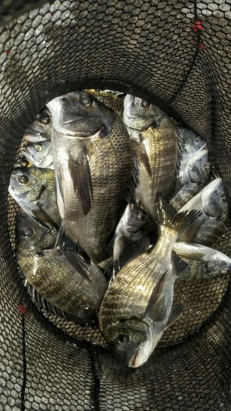
釣果
チヌ14枚、ボラ2本、チャリコ1匹、フグ1匹、はおこぜ1匹
タックル
チヌ競技スペシャル4 0.6号5.0m ライン2号 ハリス1.5号 チヌ針2号
釣り方
紀州釣り






















