※現地に釣り禁止の看板のある場所や、釣り禁止エリアでの釣行、路上駐車・ゴミ放置などの迷惑行為はお控え下さい。
※釣行の際は、必ずライフジャケットを着用下さい。
ふくさん
Loading...
いいねしたユーザー(件)
釣行日
2021/7/4
時間
朝
天気
雨
気温
暑い
潮
長潮
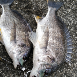
釣果
キビレ40cm キビレ36cm
タックル
竿 黒鯛工房ヘチセレクション
リール 黒鯛工房ヘチセレZ88W
ハリス1.5 針2号
釣り方
ヘチ釣り
















