寿丸
2021年5月3日釣果情報
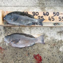
※2021年5月3日釣果情報 力さん クチブトクロ45㎝、43㎝、40㎝、39㎝、オナガクロ39,5㎝、38,5㎝、35㎝~30㎝、イサキ45㎝を、フカセ釣りで釣られたそうです。イサキ良型45㎝、クチブトクロ良型45㎝頭に40㎝超え3枚、オナガクロ39,5、お見事でした。 濵﨑さん クチブトクロ43㎝、40㎝、39㎝3枚、36㎝4枚、32㎝、オナガクロ35㎝、34㎝、33㎝を、フカセ釣りで釣られたそうです。クチブトクロ良型43㎝、40㎝、39㎝3枚、お見事でした。 吉田さん クチブトクロ40㎝、38㎝、37㎝、35㎝6枚、オナガクロ33㎝~30㎝、イサキ39㎝、38,5㎝、36,5㎝~35㎝を、フカセ釣りで釣られたそうです。クチブトクロ良型40㎝、イサキ良型39㎝頭に合計8枚、お見事でした。 山口さん クチブトクロ41㎝、39㎝、37㎝、35㎝~33㎝、オナガクロ30㎝を、フカセ釣りで釣られたそうです。クチブトクロ良型41㎝、良型39㎝、お見事でした。 田嶋さん クチブトクロ40㎝、39㎝、38㎝~36㎝を、フカセ釣りで釣られたそうです。クチブトクロ41㎝、良型39㎝、お見事でした。 田口さん オナガクロ43㎝を、フカセ釣りで釣られたそうです。その他、クチブトクロクロ30㎝~足裏サイズも釣られたそうですが、リリースされたそうです。オナガクロ43㎝、お見事でした。 堤さん クチブトクロ37㎝2枚、35㎝~33㎝㎝を、フカセ釣りで釣られたそうです。釣られたお魚【クチブトクロ】頂きました、ありがとうございました。 写真撮影は、ご遠慮しますとの事でしたので、コメントだけ記載します。 フカセ釣りの複数お客様で、クチブトクロ43㎝~40㎝級を、釣られたそうです。クチブトクロ43㎝~40㎝級、お見事でした。 その他の磯瀬では、フカセ釣りのお客様は、クチブトクロ38㎝、37㎝、36㎝、35㎝、33㎝~30㎝、オナガクロ33㎝、30㎝級~足裏サイズを、釣らたそうです。小ぶりの魚はリリースされたそうです。 正午過ぎ、最終まで皆さんお疲れ様でした。




























