寿丸
2021年2月13日釣果情報
※2021年2月13日釣果情報 YOSHIDAさん クチブトクロ43,5㎝、41㎝、40㎝、35㎝~32㎝、オナガクロ32㎝を、フカセ釣りで釣られたそうです。クチブトクロ良型43,5㎝頭に、良型40㎝超え合計3枚、お見事でした。
下釜さん クチブトクロ42㎝、41㎝、39㎝2枚を、フカセ釣りで釣られたそうです。クチブトクロ良型42㎝、良型41㎝、お見事でした。釣られたお魚【クチブトクロ】頂きました、ありがとうございました。
堤さん クチブトクロ41㎝、39㎝、34㎝、32㎝を、フカセ釣りで釣られたそうです。その他、写真撮影する前に、37㎝~35㎝3枚を、一緒に納竿されたお客様に、お裾分けされてました。クチブトクロ良型41㎝、お見事でした。釣られたお魚【クチブトクロ】頂きました、ありがとうございました。
濵﨑さん クチブトクロ40㎝2枚、37㎝、35㎝、34㎝、オナガクロ35㎝を、フカセ釣りで釣られたそうです。クチブトクロ良型40㎝2枚、お見事でした。
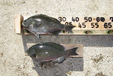
その他の磯瀬では、フカセ釣りのお客様は、平鯛45㎝~40㎝級、チヌ50㎝~45㎝、クチブトクロ36㎝、35㎝、33㎝を、釣られてました。小ぶりの魚はリリースされたそうです。 釣られたお魚【平鯛、チヌ】頂きました、ありがとうございました。尚、お裾分け頂いた魚ですが、釣果思わしくなかったお客様に、お土産にお渡ししました。 ※お裾分け頂いたお魚、後日、炙り刺身【クチブトクロ】にして釣行されたお客様、お土産にお渡ししょうと思います。 うねり波が、高く、貝瀬近辺のお客様は【18番瀬、20番瀬、22番離れ瀬】は、満潮時間から約2時間後の11時30分ぐらいに、瀬替わり釣行となりました。 うねり波が、高い中、正午過ぎ、最終まで皆さんお疲れ様でした。






















