2月7日
10番クジ

ナデ 
フカセ      
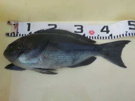
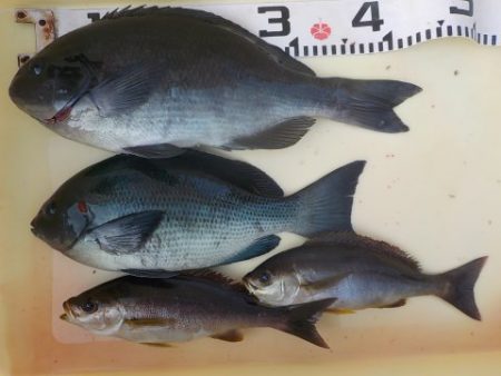
グレ38〜40cm

2枚

イサギ29cm

1枚
EFC

笹田さん
上り潮    
17,7

18、1度   
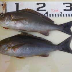
 イサギ30〜31cm

2枚
 EFC

福永さん
ミッチャ 
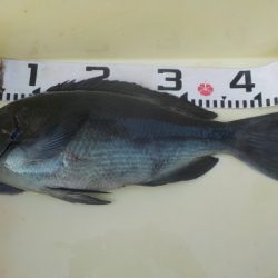
 グレ47cm

1枚
匿名さん
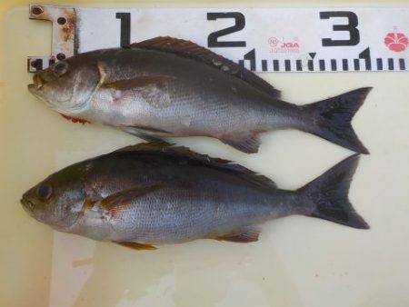
グレ37〜45cm

2枚

イサギ28〜28cm

2枚 
釣攻会

堀井さん 
エボシ
 グレ30〜37cm

3枚

イサギ30cm

1枚
 石井さん
エボシの地
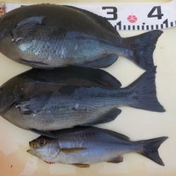
グレ32〜37cm

2枚

イサギ27〜30cm

5枚
廣瀬さん

#四国 #徳島 #フカセ釣り #イサキ #グレ #メジナ