2月6日       
3番クジ

地ソエ
フカセ      
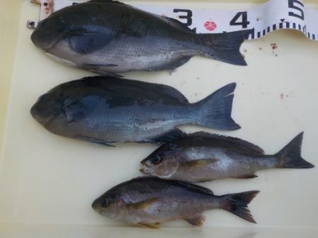
グレ33〜40cm

3枚
川人さん
上り潮    
17,5

17,9度   
マルバエ 
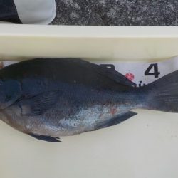
 グレ40cm

1枚
 石川さん
 4番クジ

ウマノセ
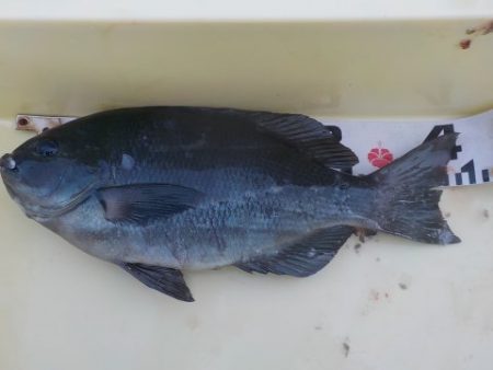
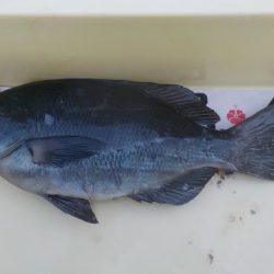
 グレ45cm

1枚
山田さん
 ホリモン
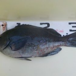
グレ44cm

1枚 
麻植さん 
 5番クジ

昼〜

キムラ
 グレ31cm

1枚
 丸亀さん
 チュウデン
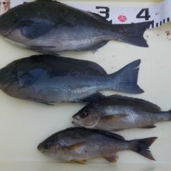
 グレ37〜40cm

2枚

イサギ27〜30cm

2枚
妹尾さん 
 港

スベリ
 グレ40cm

1枚
 後藤田さん
 
 
 
 
 
 
 

#四国 #徳島 #フカセ釣り #イサキ #グレ #メジナ