※現地に釣り禁止の看板のある場所や、釣り禁止エリアでの釣行、路上駐車・ゴミ放置などの迷惑行為はお控え下さい。
※釣行の際は、必ずライフジャケットを着用下さい。
k&K
Loading...
いいねしたユーザー(件)
釣行日
2021/1/31
時間
夜
天気
晴れ
気温
やや寒い
潮
中潮
釣果
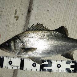
ヒラシーバス 1匹
タックル
メバリングロッド
エメラスダス
フロート自作
釣り方
メバリング
















