1月31日    
15番クジ

タドコロ


フカセ    
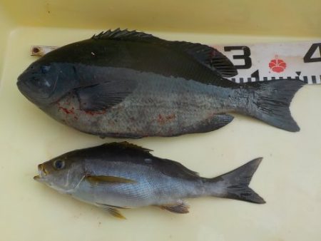
グレ28cm

1枚

イサギ36cm

1枚
西沢さん
上り潮    
17,7度 
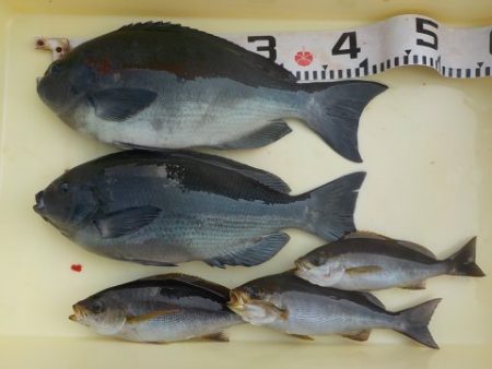
タドコロ 
 グレ36〜41cm

2枚

イサギ33〜34cm

2枚
 EFC

笹田さん
 15番クジ

タキ
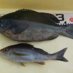
 グレ40〜43cm

2枚

イサギ25〜28cm

3枚
河野さん
タキ前 
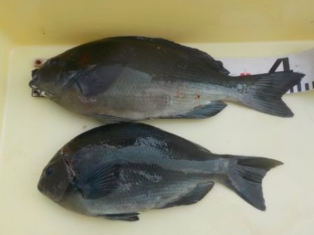
 グレ36〜42cm

2枚
 匿名さん
 巨人
 グレ36cm

1枚

イサギ28cm

1枚
 EFC

板東さん
 
 
 
 
 

#四国 #徳島 #フカセ釣り #イサキ #グレ #メジナ