1月11日
11番クジ

オオバエ

西
   フカセ    
グレ35〜39cm

7枚

アイゴ30cm

1枚
曙潮会

勝瀬さん
上り潮
18,6度
グレ35〜36cm

2枚

イサギ36cm

1枚

オオモンハタ38cm

1匹
曙潮会

櫨山さん

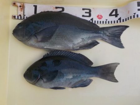
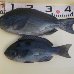
グレ43cm

1枚

奥村さん
 グレ36cm

1枚
 山崎さん
 グレ34〜44cm

2枚
 松原さん
沖のハエ
 グレ31〜40cm

6枚
 横山さん
 12番クジ

1番  
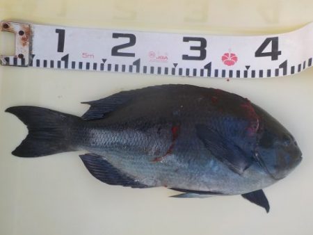
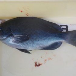
 グレ32〜38cm

9枚

イサギ27cm

1枚
 大西さん
 グレ35cm

1枚

イサギ29〜33cm

9枚
 猪谷さん
 
 
 
 
 
 
 
 

#四国 #徳島 #フカセ釣り #イサキ #グレ #メジナ #ハタ