大幸丸
1月6日
4番クジ
タワラ
フカセ
グレ37〜43cm
3枚
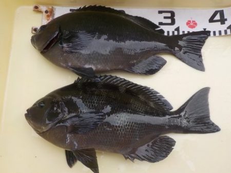
笠木
兄さん
ポイントごとに
違いました
19,8度
グレ37〜37cm
2枚
笠木
弟さん
ミッチャ
タンポ
グレ36〜40cm
4枚
イサギ31cm
1枚
山崎さん
ミッチャ
グレ31〜45cm
5枚
橋本さん
グレ34〜44cm
6枚
河野さん
ナデ
グレ27〜35cm
2枚
イサギ28cm
1枚
大石さん
グレ37cm
1枚
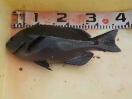
石原さん
ゴマ
グレ35cm
1枚
アイゴ35cm
1枚
福田さん
エボシ
グレ37cm
1枚
イサギ28〜35cm
5枚
林さん
エボシの地
グレ26〜40cm
2枚
イサギ27〜30cm
3枚
ヒラスズキ85cm
1本
本田さん
































