寿丸
『新年ご挨拶』2021年1月3日釣果情報
『新年ご挨拶』 謹んで新年のお祝辞を申し上げます。
旧年中は、樺島瀬渡し船【寿丸】をご利用頂きまして、誠にありがとうございました。
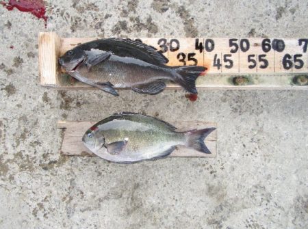
本年もどうぞ、よろしくお願い致します。大漁と皆様のご健康とご多幸をお祈り申し上げます。 樺島瀬渡し船【寿丸】 ※2021年1月3日釣果情報 濵﨑さん クチブトクロ43㎝、40㎝、39,5㎝、37㎝、36,5㎝、35㎝5枚~32㎝を、フカセ釣りで釣られたそうです。その他、オナガクロ30㎝~足裏サイズも10枚以上釣られたそうですが、リリースされたそうです。クチブトクロ43㎝、40㎝頭に、数釣り、お見事でした。釣られたお魚【クチブトクロ】お裾分け頂きました、ありがとうございました。
松井さん クチブトクロ42㎝、40,5㎝、36㎝、34㎝、チヌ44㎝を、フカセ釣りで釣られたそうです。クチブトクロ42,5㎝、40,5㎝、チヌ44㎝、お見事でした。
堤さん クチブトクロ42,5㎝、オナガクロ34㎝を、フカセ釣りで釣られたそうです。クチブトクロ42,5㎝、お見事でした。釣られたお魚【クチブトクロ、オナガクロ】頂きました、ありがとうございました。
宮崎さん クチブトクロ41㎝、オナガクロ36㎝を、フカセ釣りで釣られたそうです。クチブトクロ41㎝、お見事でした。釣られたお魚【クチブトクロ】お裾分け頂きました、ありがとうございました。
その他の磯瀬では、フカセ釣りのお客様は、クチブトクロ36㎝、35㎝、33㎝、オナガクロ30㎝~足裏サイズを、釣られてました。小ぶりの魚はリリースされたそうです。 ※お裾分け頂いたお魚、後日、炙り刺身【クチブトクロ、オナガクロ】にして釣行されたお客様、お土産にお渡ししょうと思います。 最終まで皆さんお疲れ様でした。
























