大幸丸
水温
12月20日
3番クジ
マルバエ
フカセ
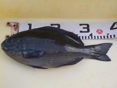
グレ36〜45cm
3枚
TFT
大原さん
上り潮
20,4
〜
20,7度
地ソエ
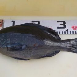
グレ34cm
1枚
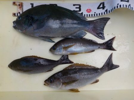
イサギ34cm
1枚
アイゴ33cm
1枚
TFT
立石
則和さん
4番クジ
ウマノセ
グレ37cm
1枚
妹尾さん
ホリモン
グレ34〜42cm
2枚
山田さん
5番クジ
ゾウノハナ
グレ32〜37cm
5枚
TFT
岡田
会長さん
グレ42cm
1枚
イサギ30〜35cm
3枚
TFT
富永さん
キバ
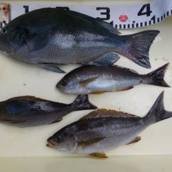
グレ33〜40cm
3枚
アイゴ33cm
1枚
TFT
岡田さん
まっちゃん
バエ
グレ36cm
1枚
TFT
平田さん
ヒジカケ
イサギ30cm
1枚
TFT
原槙さん






























