※現地に釣り禁止の看板のある場所や、釣り禁止エリアでの釣行、路上駐車・ゴミ放置などの迷惑行為はお控え下さい。
※釣行の際は、必ずライフジャケットを着用下さい。
Mocco
Loading...
いいねしたユーザー(件)
釣行日
2020/12/13
時間
昼
天気
晴れ
気温
やや寒い
潮
中潮
釣果
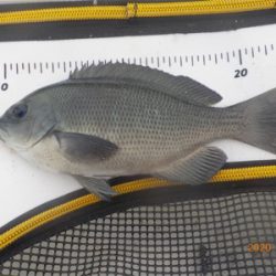
金曜日 グレ20センチ
日曜日 グレ27、25、22センチ
タックル
ラディックス1.2号 5.3メートル
ラリッサ 2500dxg
道糸2 号
ハリス1.2号
針グレ5号
釣り方
フカセ






















