Mocco

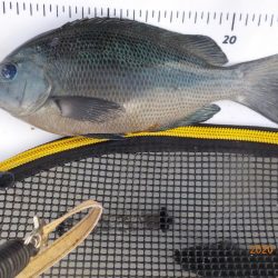
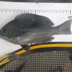
今日は小潮なので、グレ好調という大蔵海岸ヘ

最初は0シブで全誘導でやっていましたが、餌取りが半ボイルでもうるさいので、3B+水中ウキ-3Bに変えました。

これが、わたしには正解だったようで、ここからコンスタントに20センチ台が続くようになりました。

近い明石でこれだけ楽しい思いをさせてもらって最高です。

ちなみに両サイドの方は、めちゃくちゃ上手くて、50枚、30枚という話を聞きました。

#関西 #兵庫県 #瀬戸内海側 #明石東部 #大蔵海岸 #フカセ釣り #グレ #メジナ