大幸丸
11月23日
3番クジ
10時〜
マルバエ
紋スマ40cm
1本
イサギ25cm
1枚
アイゴ36cm
1枚
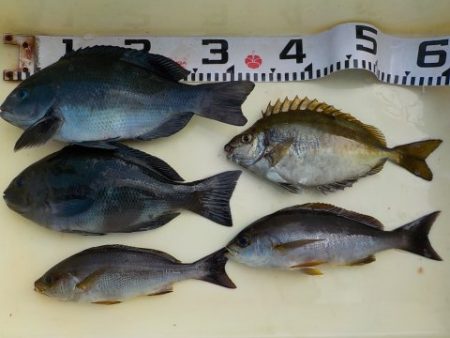
北島
橋本さん
上り潮
22,8度
グレ28〜34cm
2枚
イサギ26〜35cm
7枚
徳島EFC
田中さん
5番クジ
10時〜
まっちゃん
バエ
グレ28〜35cm
3枚
イサギ26〜34cm
2枚
大西さん
14番クジ
ナカノハエ地
グレ32〜33cm
2枚
イサギ26〜30cm
2枚
アイゴ30cm
1枚
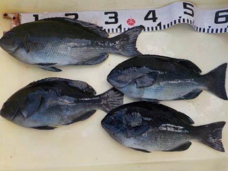
横山さん
クジラ
グレ33〜36cm
4枚
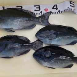
橋本さん
グレ34〜45cm
3枚
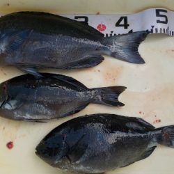
石田さん
タニハン
の地
グレ50cm
1枚
森本さん
グレ34〜36cm
4枚
イサギ26cm
1枚
アイゴ31〜36cm
2枚
福田さん






























