11月11日
3番クジ

昼〜

ピストル
フカセ
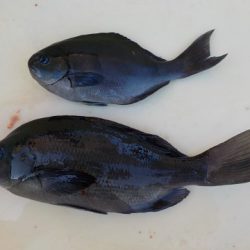
グレ26〜35cm

2枚
TAISHIKAI

和田さん
上り潮
23,3度

                                     
7番クジ

昼〜

地富士
グレ25〜27cm

12枚
長家さん
11番クジ

昼〜

オオバエ
グレ32〜35cm

3枚

紋スマ37cm

1本
大加戸さん
グレ28〜35cm

6枚

イサギ28〜32cm

2枚
TFT

立石さん
 
 
 
 

#四国 #徳島 #フカセ釣り #イサキ #グレ #メジナ