11月7日釣果!

磯釣り釣果

水温23.2℃

風北東2m

潮上り潮でした。

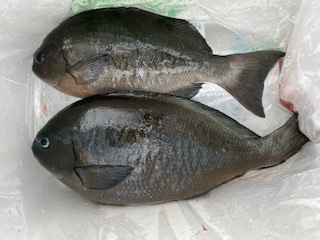
今日はあまり数はでませんでしたが38〜46cmまでいい方で8枚ほど。場所で切られバラシもありましたがいいサイズです。他、カワハギ、ハマチでした。底物で1.5kgサイズ1枚。他、イシガキでした。少し風でて波毛ありましたが明日も通常通り出航します。よろしくお願いします!

船長携帯

090-3011-9673 

延岡市須美江町123-12 詳しくは、お電話ください。 島野浦でお待ちしています。 

         千津丸船長甲斐 和臣

#九州 #宮崎 #延岡市 #門川町 #フカセ釣り #グレ #メジナ