※現地に釣り禁止の看板のある場所や、釣り禁止エリアでの釣行、路上駐車・ゴミ放置などの迷惑行為はお控え下さい。
※釣行の際は、必ずライフジャケットを着用下さい。
栄丸
Loading...
いいねしたユーザー(件)
釣行日
2020-06-23
時間
日中
天気
--
気温
--
潮
中潮
釣果
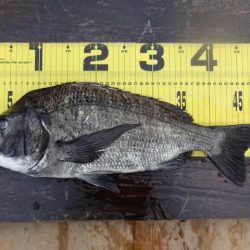
クロダイ(チヌ)
釣り方
筏チヌ釣り
※現地に釣り禁止の看板のある場所や、釣り禁止エリアでの釣行、路上駐車・ゴミ放置などの迷惑行為はお控え下さい。
※釣行の際は、必ずライフジャケットを着用下さい。
2020-06-23
日中
--
--
中潮