※現地に釣り禁止の看板のある場所や、釣り禁止エリアでの釣行、路上駐車・ゴミ放置などの迷惑行為はお控え下さい。
※釣行の際は、必ずライフジャケットを着用下さい。
しば渡船
Loading...
いいねしたユーザー(件)
釣行日
2020-05-26
時間
日中
天気
晴れ
気温
快適
潮
中潮
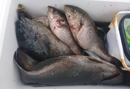
釣果
グレ(メジナ)
釣り方
フカセ釣り
※現地に釣り禁止の看板のある場所や、釣り禁止エリアでの釣行、路上駐車・ゴミ放置などの迷惑行為はお控え下さい。
※釣行の際は、必ずライフジャケットを着用下さい。
2020-05-26
日中
晴れ
快適
中潮