※現地に釣り禁止の看板のある場所や、釣り禁止エリアでの釣行、路上駐車・ゴミ放置などの迷惑行為はお控え下さい。
※釣行の際は、必ずライフジャケットを着用下さい。
うぱぱ
Loading...
いいねしたユーザー(件)
釣行日
2020/05/24
時間
夜
天気
晴れ
気温
快適
潮
大潮
釣果
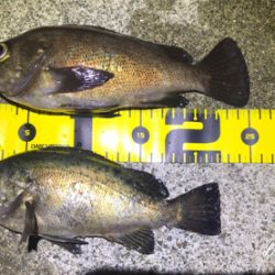
メバル〜25㎝
セイゴ
アジ
タックル
85PEスペシャル
イグジスト2508
シャローフリーク15g
釣り方
フロートメバリング






















