2020年3月4日釣果情報
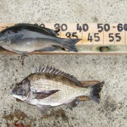
※2020年3月4日釣果情報 匿名さん クチブトクロ40㎝、チヌ42㎝を、フカセ釣りで釣られたそうです。クチブトクロ40㎝、チヌ42㎝、お見事でした。
フカセ釣りのお客様で、真鯛【65㎝~70㎝級】ヒットしたそうなのですが、バラシ【瀬ズレ】たそうです。次回、リベンジ、頑張られてください。 その他の磯瀬では、フカセ釣りのお客様は、真鯛55㎝~50㎝、小鯛、チヌ45㎝~40㎝級、平鯛を、釣られたそうです。 釣られたお魚【チヌ1枚】頂きました、ありがとうございました。 正午過ぎから強風【北西風】風波が、高く、雨が降る中、正午過ぎまで皆さんお疲れ様でした。 

#九州 #長崎 #西海市 #長崎市 #樺島周辺 #フカセ釣り #グレ #メジナ