2月28日
7番クジ

カナワ
フカセ
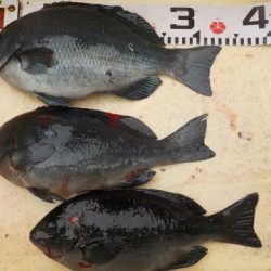
グレ30〜36cm

6枚
徳島

渡辺さん
上り潮

止まる

17,3度
沖フジ
グレ30cm

1枚

アイ33cm

1枚」
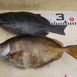
徳島

妹尾さん
地フジ
グレ31〜32cm

2枚
徳島

川人さん
バッタリ
グレ30〜38cm

5枚
姫路

大加戸さん
ヒッツキ

のオオバエ
グレ30〜34cm

3枚
淡路

岡野さん
17番クジ

モモ
グレ38cm

1枚
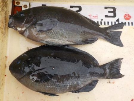
淡路

高倉さん
落ち
グレ33〜35cm

2枚
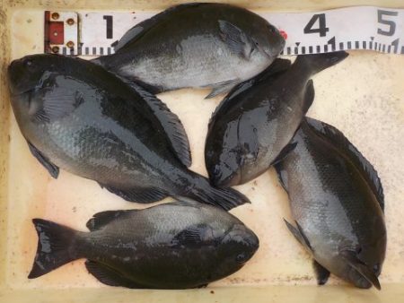
神戸

横山さん
グレ37〜46cm

8枚
姫路

橋本さん

#四国 #徳島 #フカセ釣り #アイゴ #グレ #メジナ