大幸丸
2月24日
11番クジ
オオバエ
フカセ
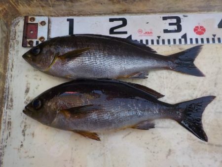
グレ34〜35cm
2枚
イサギ33cm
1枚
淡路
打越さん
上り潮
〜
止まる
17,8
〜
18,2度
イサギ29〜35cm
4枚
曙潮会
森さん
イサギ33〜34cm
2枚
曙潮会
西澤さん
東
グレ29〜38cm
3枚
徳島TFT
久保さん
沖のハエ
グレ32cm
1枚
イサギ30cm
1枚
徳島TFT
高瀬さん
12番クジ
1番
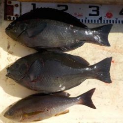
グレ30〜35cm
5枚
イサギ26〜34cm
7枚
徳島TFT
大原さん
イサギ25〜28cm
3枚
イガミ40cm1枚
徳島TFT
立石さん
タニハンの地
グレ31〜32cm
3枚
徳島
藤本さん
中のハエ
グレ31〜33cm
2枚
徳島
大西さん
中のハエ
の地
グレ34cm
1枚
徳島
林さん
ジイ
グレ31〜36cm
4枚
イサギ24〜27cm
9枚
曙潮会
岡田さん


































